Local Service Overview

Get Ant Control Service in Melissa, TX

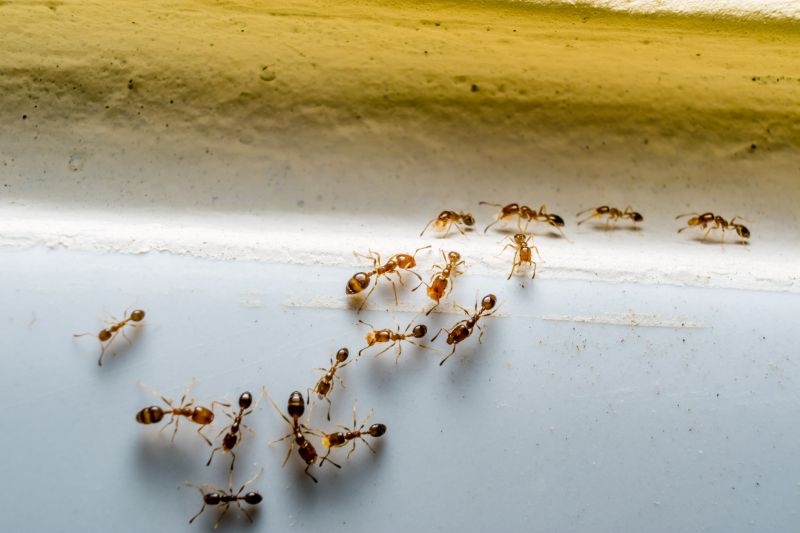
Ant Control Service providers in Melissa, TX, handle ant infestations, prevent future invasions, and manage residential and commercial ant-related problems through targeted treatments.

Melissa, TX

Ant control services provide property owners in Melissa, TX with effective solutions to manage and eliminate ant infestations. These services help maintain a comfortable living environment by preventing the nuisance and potential health concerns associated with ant colonies. Additionally, professional ant control can protect the structural integrity of a property by reducing the risk of damage caused by ant activity, such as wood-boring species or colony buildup near foundations.

Engaging with local ant control experts offers benefits like enhanced safety, as trained technicians use targeted methods to control pests without unnecessary disruption. Property owners also enjoy improved curb appeal, as treatments help keep outdoor spaces looking tidy and free of ant mounds or trails. Overall, professional ant control services contribute to a more functional and durable property by reducing ongoing maintenance needs and safeguarding the property's appearance and integrity.

Get Ant Control Service Quotes

  • Common Projects Ant Control Services can help eliminate ant infestations in residential or commercial properties.
  • They are useful when ants invade kitchens, bathrooms, or other areas inside the home.
  • These services are often needed when outdoor ant colonies threaten to spread into living spaces around Melissa, TX, and nearby areas.
  • Ant control solutions can address issues caused by persistent ant trails and large colonies outdoors.
  • Professional ant control can be beneficial for preventing future infestations in both urban and rural settings.

Get Ant Control Service Quotes

Ant Control Service
Ant Control Service
Ant Control Service

Ant control services involve the identification and elimination of ant infestations within residential, commercial, or industrial properties. Service providers typically conduct thorough inspections to determine the extent of the ant problem and identify the species involved. Treatment methods may include targeted application of insecticides, baiting systems, and barrier treatments designed to prevent ants from entering the property. The goal is to reduce or eradicate ant populations effectively while addressing the specific conditions that attract these pests.

Ant problems can cause various issues for property owners, including nuisance, property damage, and potential health concerns. Certain ant species, such as carpenter ants, can compromise the structural integrity of wood components, leading to costly repairs. Others, like fire ants, pose stinging threats to residents and visitors. Additionally, ants can contaminate food supplies and spread bacteria, making their presence a concern in both homes and food-related businesses. Professional ant control services help mitigate these risks by providing targeted and ongoing pest management solutions.

Properties that commonly utilize ant control services include single-family homes, apartment complexes, restaurants, grocery stores, and warehouses. Residential properties often seek treatment to eliminate invasions that occur during seasonal peaks or due to environmental conditions. Commercial properties, especially those involved in food handling or storage, require effective pest management to comply with health standards and prevent infestations from impacting operations. In all cases, local service providers tailor their treatments to the specific property type, size, and ant species to ensure effective results.

Engaging with local pest control professionals for ant management provides access to expertise in handling diverse infestations. These specialists assess the unique characteristics of each property and develop customized treatment plans aimed at controlling current populations and preventing future invasions. By addressing ant issues promptly and effectively, property owners can maintain a cleaner, safer environment while minimizing the disruption caused by these persistent pests.

The overview below groups typical Ant Control Service projects into broad ranges so you can see how smaller, mid-sized, and larger jobs often compare in Melissa, TX.

In many markets, a large share of routine jobs stays in the lower and middle ranges, while only a smaller percentage of projects moves into the highest bands when the work is more complex or site conditions are harder than average.

Initial Inspection - The cost for an initial ant control inspection typically ranges from $50 to $150, depending on the property size and complexity. Larger homes or commercial spaces may incur higher fees. This fee often covers a thorough assessment of ant activity and entry points.

One-Time Treatment - A single ant treatment service can cost between $100 and $300. Prices vary based on the extent of the infestation and the treatment method used, with larger or heavily infested areas costing more.

Ongoing Maintenance - Monthly or quarterly ant control plans generally range from $30 to $75 per visit. Regular treatments aim to prevent future infestations and may include monitoring and spot treatments.

Additional Services - Extra services such as baiting systems or interior treatments typically add $50 to $150 to the overall cost. These options are recommended for persistent or severe ant problems in residential or commercial settings.

Actual totals will depend on details like access to the work area, the scope of the project, and the materials selected, so use these as general starting points rather than exact figures.

Get an Ant Control Service Quote

Ant Control Solutions - Local service providers offer targeted treatments to eliminate ant infestations in residential and commercial properties in Melissa, TX and nearby areas.

Ant Prevention Strategies - Pros can assist with identifying and sealing entry points to help prevent future ant invasions around homes and businesses.

Wasp and Hornet Removal - Many providers also handle the safe removal of wasp and hornet nests that may be attracting ants or posing safety concerns.

Indoor Pest Management - Local experts deliver comprehensive indoor pest control services to address ant problems within homes and office spaces.

Outdoor Ant Barrier Treatments - Service providers can apply barrier treatments around property exteriors to reduce ant activity and protect the premises.

Ant Infestation Inspection - Professionals conduct thorough inspections to identify ant colonies and recommend effective treatment plans for residential and commercial sites.

Ant Control Service

When selecting a professional for ant control services, it’s important to consider their experience in handling pest issues similar to those faced by homeowners in Melissa, TX. Experienced providers typically have a history of managing ant infestations effectively, which can contribute to more reliable results. Homeowners should inquire about the duration of a contractor’s service in the local area and their familiarity with common ant species and challenges specific to the region. This background can help ensure that the chosen service provider understands the unique aspects of ant control in the local environment.

Clear communication and written expectations are essential when working with a pest control contractor. Reputable providers often offer detailed service descriptions, outlining what homeowners can expect during and after treatment, including any preparations needed beforehand. Having these expectations in writing helps prevent misunderstandings and ensures that both parties are aligned on the scope of work. Homeowners are encouraged to ask service providers about their process, the products used, and any follow-up procedures to confirm that the service meets their specific needs.

Reputable references and strong communication practices are key indicators of a trustworthy ant control service provider. Homeowners should seek out local contractors with positive references from previous clients, which can provide insight into their reliability and quality of work. Additionally, responsive and transparent communication-whether through phone, email, or in-person discussions-helps build confidence in the contractor’s professionalism. Since this platform connects users with local pros and does not perform the work directly, it’s recommended to contact multiple providers to compare their experience, expectations, and reputation before making a decision.

Get an Ant Control Service Quote

Property owners in Melissa, TX use Ant Control Service services for practical projects around their homes and businesses. The sections below highlight everyday jobs and straightforward project options.

Ant Control Service
Ant Control Service

Ant control services are often sought by property owners in Melissa, TX, who notice ant activity around their homes or businesses. Common situations include discovering ant trails near kitchens, bathrooms, or entry points, which can indicate a developing infestation. Property owners may also request assistance after noticing increased ant presence during warmer months or following recent construction or landscaping activities that may have disturbed ant nests.

Many property owners seek ant control to prevent potential damage or nuisance caused by these pests. Ants can invade food storage areas, contaminate surfaces, and create unsightly trails, making them a concern for both residential and commercial spaces. Professional ant control services can help identify the source of the problem and implement targeted solutions to reduce ant activity and prevent future invasions.

Get an Ant Control Service Quote

What are common signs of ant infestations? Signs include visible ant trails, presence of ants indoors or outdoors, discarded wings, and small piles of dirt or debris near entry points.

How do pest control professionals eliminate ants? Local service providers typically use targeted treatments such as bait stations, residual sprays, and barrier methods to control ant populations.

Are ant control services safe for pets and children? Most professional treatments are designed to be safe when applied properly; it’s recommended to discuss any concerns with the service provider beforehand.

How long does an ant treatment typically last? The duration of effectiveness varies depending on the treatment method and ant species, but follow-up treatments may be recommended for ongoing control.

Can ant control services prevent future infestations? Yes, many providers offer preventative treatments and advice on reducing attractants to help minimize the risk of future ant problems.

Ant Identification and Inspection - Local pros can assess your property to identify ant activity and determine the extent of the infestation.

Targeted Ant Treatments - Professionals use effective methods to eliminate ants and prevent future invasions around your home or business.

Preventive Ant Control Strategies - Service providers can implement barriers and exclusion techniques to keep ants from entering your property.

Ongoing Ant Management Plans - Customized plans are available to monitor and maintain ant control over time, reducing the likelihood of recurring issues.

Ant Control Service

Considering Ant Control Service for a property in Melissa, TX? The sections above highlight common project types, practical options, and details that often shape the scope of work.

When you are ready, use the quote form to share a few details about your project. Local pros can review the basics and respond with options that match what you have in mind.

Get an Ant Control Service Quote

Ant Control Quotes

Our Trusted Partners
Cantu Pest Control
Orkin
Hawx Pest Control