Local Service Overview

Get Black Ant Extermination in Aubrey, TX

Black Ant Extermination services for property owners in Aubrey, TX, typically address ant infestations in residential and commercial buildings, including removal, prevention, and ongoing pest management.

Aubrey, TX

Black ant extermination services are a practical solution for property owners in Aubrey, TX seeking to maintain a comfortable and functional living environment. These services help prevent ant infestations that can disrupt daily routines and compromise the usability of indoor and outdoor spaces. By addressing ant problems early, property owners can enjoy a safer, more inviting home, free from the nuisance and potential damage caused by these pests.

Choosing professional extermination services offers several benefits, including enhanced durability of property structures and reduced ongoing maintenance needs. Effective ant control can also boost curb appeal by keeping outdoor areas clean and pest-free, creating a more attractive environment. With the support of local specialists, property owners can achieve long-lasting results that contribute to the overall safety, comfort, and appearance of their homes.

Get Black Ant Extermination Quotes

  • Ant Extermination - needed when ants invade kitchens, bathrooms, or outdoor spaces in residential or commercial properties.
  • Carpenter Ant Control - required if wood structures or furniture show signs of ant damage or infestation.
  • Fire Ant Removal - necessary for outdoor areas where fire ants pose a risk to people or pets.
  • Sugar Ant Treatment - sought after when sweet food residues attract ants into living or storage areas.
  • Pharaoh Ant Eradication - needed in sensitive environments like healthcare facilities or food processing areas with persistent ant issues.

Get Black Ant Extermination Quotes

Black Ant Extermination
Black Ant Extermination
Black Ant Extermination

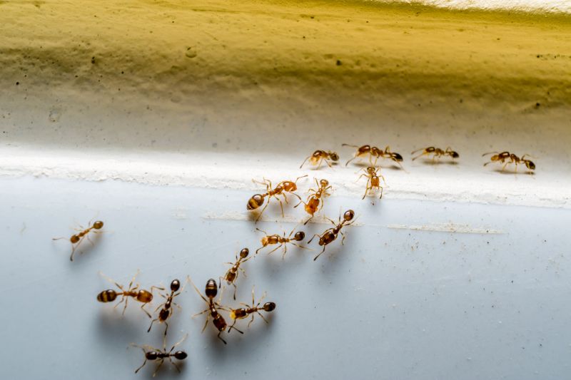
Black ant extermination services are designed to eliminate infestations of black ants from residential, commercial, and outdoor properties. These services typically involve thorough inspections to identify the extent of the ant presence and the specific nesting sites. Treatment methods may include the application of targeted insecticides, baiting systems, and barrier treatments to prevent ants from entering structures. Professionals use specialized techniques to ensure that the treatment effectively reduces or eradicates black ant populations while minimizing disruption to the property.

Black ant problems can cause significant nuisance and potential property damage. While black ants are often considered more of a nuisance pest, large colonies can invade kitchens, pantries, and other areas where food is stored, contaminating surfaces and food supplies. In some cases, black ants may also establish nests within wall voids, beneath floors, or around foundations, leading to persistent infestations that are difficult to control without professional intervention. Addressing these issues promptly helps prevent the spread of ants and reduces the likelihood of them becoming a recurring problem.

Properties that typically utilize black ant extermination services include single-family homes, apartment complexes, restaurants, and retail establishments. Residential properties often seek treatment to protect food storage areas and maintain a clean living environment. Commercial properties, especially those involved in food service or retail, prioritize pest control to meet health and safety standards. Outdoor spaces, such as gardens and patios, may also be treated to eliminate ant colonies and prevent future invasions, ensuring that the property remains comfortable and pest-free.

Professional black ant extermination services are essential for effectively managing infestations that are difficult to control with DIY methods. Local pest control providers offer tailored solutions based on the severity of the problem and the specific property type. By connecting with experienced service providers, property owners can access targeted treatments designed to reduce ant populations and prevent future invasions. This approach helps maintain a pest-free environment, whether in a home, business, or outdoor setting.

The overview below groups typical Black Ant Extermination projects into broad ranges so you can see how smaller, mid-sized, and larger jobs often compare in Aubrey, TX.

In many markets, a large share of routine jobs stays in the lower and middle ranges, while only a smaller percentage of projects moves into the highest bands when the work is more complex or site conditions are harder than average.

Initial Inspection - The cost for a professional inspection of black ant activity typically ranges from $50 to $150. This fee covers assessing the extent of the infestation and identifying entry points. Prices may vary based on property size and location.

Basic Treatment - A standard black ant extermination service generally costs between $100 and $300. This includes applying targeted treatments around the affected areas to eliminate colonies. Larger or more severe infestations may increase the overall cost.

Comprehensive Pest Control - For ongoing or extensive black ant problems, service providers may charge between $200 and $500 for a full treatment plan. This often involves multiple visits and integrated pest management strategies.

Follow-Up Services - Follow-up treatments or inspections typically range from $50 to $150 each visit. These are recommended to ensure the complete eradication of black ants and prevent future re-infestations.

Actual totals will depend on details like access to the work area, the scope of the project, and the materials selected, so use these as general starting points rather than exact figures.

Get a Black Ant Extermination Quote

Ant Extermination services focus on identifying and eliminating black ant colonies within residential or commercial properties, helping to reduce infestations effectively.

Indoor Ant Control providers specialize in treating indoor spaces where black ants have been observed, ensuring safe and thorough removal from kitchens, bathrooms, and other areas.

Outdoor Ant Management services aim to treat yard and perimeter areas to prevent black ant colonies from establishing or re-establishing near structures.

Integrated Pest Management professionals utilize targeted strategies to control black ant populations while minimizing the use of pesticides in sensitive environments.

Sanitation and Prevention Consulting experts offer advice on reducing attractants and maintaining environments that discourage black ant infestations.

Emergency Ant Removal services are available for urgent situations where black ants have rapidly invaded indoor spaces, requiring immediate attention by local specialists.

Black Ant Extermination

When selecting a professional for black ant extermination, it is important to consider the experience of the local service providers. Homeowners should look for contractors who have a proven track record in handling ant infestations, especially those with extensive background working in the specific area such as Aubrey, TX. Experienced pros are more likely to understand the unique behaviors of black ants and the most effective methods for eradication, ensuring the problem is addressed efficiently and thoroughly.

Clear and written expectations are essential when working with a pest control provider. Reputable local pros typically outline their service procedures, what homeowners can expect during the treatment process, and any necessary follow-up steps. This transparency helps establish a mutual understanding and ensures that homeowners are aware of the scope of work, potential outcomes, and any preparations needed before treatment.

Reputation and communication are key factors in choosing a pest control specialist. Homeowners should seek out providers with reputable references or reviews from previous clients, which can offer insights into their professionalism and effectiveness. Additionally, good communication from the service provider-such as responsiveness, clarity in explanations, and willingness to answer questions-can foster confidence in the chosen professional and contribute to a smoother service experience.

Get a Black Ant Extermination Quote

Property owners in Aubrey, TX use Black Ant Extermination services for practical projects around their homes and businesses. The sections below highlight everyday jobs and straightforward project options.

Black Ant Extermination
Black Ant Extermination

Black ant extermination services are commonly sought by property owners in Aubrey, TX when they notice persistent ant activity indoors or around their homes. These insects can invade kitchens, bathrooms, and other areas, often leading to concerns about cleanliness and pest control. Local service providers are available to assess the extent of an ant problem and recommend appropriate treatment options to help restore comfort and prevent future invasions.

Property owners may also look for black ant extermination when they see signs of an infestation, such as ant trails or mounds outside their property. Ants can sometimes indicate underlying issues like moisture problems or entry points that need addressing. Connecting with local pest control professionals can help identify the source of the problem and implement targeted solutions to keep homes and yards ant-free.

Get a Black Ant Extermination Quote

Why are black ants attracted to my home? Black ants are drawn to food sources, moisture, and shelter, which are often found indoors or around food storage areas.

What signs indicate a black ant infestation? Common signs include visible ant trails, small piles of dirt or debris near entry points, and ants found inside kitchens or bathrooms.

How do pest control professionals eliminate black ants? Local service providers typically use targeted treatments such as baiting and residual sprays to remove black ant colonies effectively.

Are black ants likely to return after treatment? Proper treatment by professionals can reduce the likelihood of future infestations, but ongoing sanitation and maintenance are recommended.

How can I prevent black ants from invading my home? Keeping food sealed, eliminating moisture sources, and sealing entry points can help prevent black ant invasions.

Black Ant Extermination Methods - Local service providers can implement effective removal techniques tailored to specific infestations.

Preventive Black Ant Control - Professionals offer strategies to reduce the likelihood of future ant problems around properties.

Black Ant Inspection Services - Experts can assess property conditions to identify ant entry points and nesting areas.

Black Ant Extermination Costs - Pricing varies based on the extent of the infestation and treatment methods used by local providers.

Black Ant Extermination

Considering Black Ant Extermination for a property in Aubrey, TX? The sections above highlight common project types, practical options, and details that often shape the scope of work.

When you are ready, use the quote form to share a few details about your project. Local pros can review the basics and respond with options that match what you have in mind.

Get a Black Ant Extermination Quote

Black Ant Extermination Quotes

Our Trusted Partners
Cantu Pest Control
Orkin
Hawx Pest Control