Local Service Overview

Get Ants Extermination Service in Euless, TX

Ants extermination services for property owners in Euless, TX, and nearby areas address ant infestations, prevent future invasions, and handle residential and commercial pest control projects.

Euless, TX

Ants extermination services are a practical solution for property owners in Euless, TX seeking to maintain a comfortable and safe living environment. By effectively eliminating ant infestations, these services help prevent damage to structures and belongings, ensuring the property remains functional and inviting. Reducing the presence of ants also minimizes the risk of contamination and pest-related health concerns, contributing to peace of mind for residents and property managers alike.

Engaging professional extermination providers offers benefits such as enhanced durability of the property’s exterior and interior, as well as reduced ongoing maintenance needs. Proper treatment can improve curb appeal by keeping outdoor spaces tidy and free of pests, while also safeguarding the property's overall integrity. Contacting local experts ensures tailored solutions that address specific pest issues, supporting long-term comfort and the preservation of the property’s value.

Get Ants Extermination Service Quotes

  • Ants Extermination Services are essential when residents notice persistent ant activity inside or around their homes in Euless, TX and nearby areas.
  • These services are needed if ants invade kitchens, bathrooms, or other living spaces, indicating a potential infestation.
  • Professional exterminators can help when ant colonies are found outdoors near foundations, gardens, or landscaping in the region.
  • Ant control may be required if ant trails are visible across walls, floors, or entry points within a property.
  • Contacting local pest control providers is recommended when ant problems become difficult to manage with DIY methods.

Get Ants Extermination Service Quotes

Ants Extermination Service
Ants Extermination Service
Ants Extermination Service

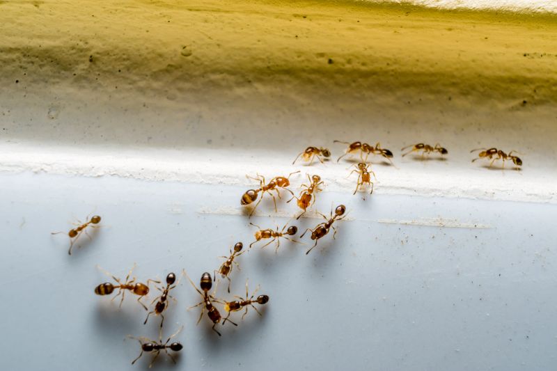
Ants extermination services involve identifying and eliminating ant infestations within residential, commercial, or industrial properties. These services typically include thorough inspections to locate ant colonies, followed by targeted treatments to eradicate both visible ants and their hidden nests. Service providers may utilize a variety of methods, such as baiting, residual sprays, or dust applications, to ensure comprehensive control. The goal is to reduce ant populations effectively and prevent future invasions, helping property owners maintain a clean and pest-free environment.

Ant infestations can cause a range of problems for property owners. Besides the nuisance of constant ant activity, certain species can contaminate food supplies, damage structures, or create unsanitary conditions. For example, sugar ants and carpenter ants are common culprits that may invade kitchens, pantries, and other areas where food is stored. Ants can also establish large colonies that become difficult to control without professional intervention, leading to ongoing pest issues if left untreated.

Both residential and commercial properties frequently seek ant extermination services. Homes, especially those with accessible entry points like cracks and gaps, are common targets for ant invasions. Restaurants, grocery stores, and food production facilities also require regular pest control to ensure food safety and comply with health regulations. Additionally, warehouses, office buildings, and other commercial spaces may engage pest control providers to manage ant problems that threaten hygiene standards or disrupt operations.

Professional ant extermination services are designed to provide effective solutions tailored to the specific needs of each property. Local pest control providers assess the severity of the infestation, identify the species involved, and recommend appropriate treatment plans. Whether dealing with minor invasions or large-scale infestations, these services aim to eliminate ants efficiently and help prevent future problems through strategic pest management practices.

The overview below groups typical Ants Extermination Service projects into broad ranges so you can see how smaller, mid-sized, and larger jobs often compare in Euless, TX.

In many markets, a large share of routine jobs stays in the lower and middle ranges, while only a smaller percentage of projects moves into the highest bands when the work is more complex or site conditions are harder than average.

Initial Inspection - The cost for a detailed ant inspection typically ranges from $50 to $150, depending on property size and complexity. This fee often covers identifying ant species and infestation points.

Basic Treatment - A standard ant extermination service usually costs between $100 and $300 for a single treatment. Larger properties or severe infestations may increase the price to around $400.

Multiple Treatments - For ongoing infestations requiring several visits, service providers may charge $300 to $600. This includes follow-up treatments to ensure complete ant eradication.

Preventive Measures - Applying preventative barriers or bait stations can add $50 to $200 to the total cost. These measures help reduce future ant activity around the property.

Actual totals will depend on details like access to the work area, the scope of the project, and the materials selected, so use these as general starting points rather than exact figures.

Get an Ants Extermination Service Quote

Ants Extermination - Local pest control providers offer specialized services to eliminate ant infestations in residential and commercial properties in Euless, TX and surrounding areas.

Ants Nest Removal - Service providers identify and remove ant nests to prevent future invasions and maintain a pest-free environment.

Indoor Ant Control - Experts implement targeted treatments inside buildings to eradicate ants and reduce the risk of recurring problems.

Outdoor Ant Extermination - Professionals treat outdoor areas around properties to eliminate ant colonies and protect landscaping.

Ant Inspection Services - Local pros conduct thorough inspections to determine the extent of ant activity and recommend appropriate treatment plans.

Ant Prevention Solutions - Service providers offer advice and treatments to help prevent future ant invasions and maintain pest-free spaces.

Ants Extermination Service

When comparing ants extermination services, experience is an important factor to consider. Pros with a long history of handling ant infestations in areas like Euless, TX, often possess a deeper understanding of local ant species and effective treatment methods. Reviewing the backgrounds of local providers can help homeowners gauge their familiarity with regional pest issues and their ability to address specific needs efficiently.

Clear communication and written expectations are essential for a successful extermination process. Reputable local service providers typically outline the scope of work, treatment procedures, and any necessary follow-up steps in written estimates or service agreements. This transparency helps ensure homeowners understand what to expect and can make informed decisions about the services they choose.

Reputable references and a history of positive feedback can provide additional confidence when selecting a local ants extermination professional. Homeowners are encouraged to seek out local providers with established reputations in the community, often demonstrated through reviews or testimonials. Reliable communication channels, whether through phone, email, or online contact forms, also play a key role in establishing trust and ensuring that questions or concerns are addressed promptly throughout the service process.

Get an Ants Extermination Service Quote

Property owners in Euless, TX use Ants Extermination Service services for practical projects around their homes and businesses. The sections below highlight everyday jobs and straightforward project options.

Ants Extermination Service
Ants Extermination Service

Ants extermination services are commonly sought after by property owners in Euless, TX, when encountering persistent ant invasions in homes or businesses. These pests can invade kitchens, pantries, and other areas, often leading to frustration and concern about hygiene. Local service providers can assist with identifying ant species, locating nests, and implementing effective treatment strategies to help restore comfort and cleanliness.

Property owners may also look for ant extermination when noticing increased activity during warmer months or after recent construction projects. Ants can be attracted to food sources, moisture, and shelter, making it important to address infestations promptly. Professional extermination services are available to help manage these issues and prevent future invasions, ensuring properties remain pest-free.

Get an Ants Extermination Service Quote

How do ant extermination services work? Ant extermination services typically involve inspecting the property to identify ant entry points and nests, followed by targeted treatments to eliminate the colony and prevent future infestations.

Are the treatments safe for pets and children? Many local pros use treatments that are safe when applied properly; it is recommended to discuss safety concerns with the service provider before the treatment.

How long does an ant extermination treatment take? The duration of the treatment can vary depending on the extent of the infestation, but most services are completed within a few hours.

Will I need multiple treatments to control ants? Some ant species may require multiple treatments to fully eliminate the colony and ensure long-term control.

What should I do to prepare for ant extermination services? It is advisable to clear the area around entry points and follow any specific instructions provided by the service provider to ensure effective treatment.

Ants Prevention Strategies - Local service providers can assess your property to identify potential entry points and recommend effective prevention techniques to reduce ant infestations.

Ant Extermination Treatments - Professionals use targeted treatments to eliminate existing ant colonies and prevent future invasions around residential and commercial properties.

Inspection and Monitoring Services - Regular inspections by local experts help detect early signs of ant activity and monitor the effectiveness of extermination efforts.

Integrated Pest Management Advice - Service providers can advise on integrated approaches to control ants, combining sanitation, exclusion, and treatment methods for long-term results.

Ants Extermination Service

Considering Ants Extermination Service for a property in Euless, TX? The sections above highlight common project types, practical options, and details that often shape the scope of work.

When you are ready, use the quote form to share a few details about your project. Local pros can review the basics and respond with options that match what you have in mind.

Get an Ants Extermination Service Quote

Ants Extermination Quotes

Our Trusted Partners
Cantu Pest Control
Orkin
Hawx Pest Control