Local Service Overview

Get Ants Extermination Service in Dallas, TX

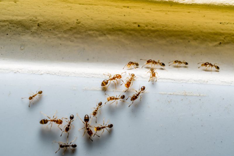
Ants extermination services for property owners in Dallas, TX, and nearby areas address ant infestations, including treatment of kitchens, yards, and structural areas.

Dallas, TX

Ants extermination services are essential for property owners in Dallas, TX seeking to maintain a comfortable and safe environment. Ant infestations can disrupt daily routines, cause property damage, and compromise hygiene standards. Professional extermination providers utilize targeted methods to effectively eliminate ants, helping to restore peace of mind and ensure that living and working spaces remain functional and inviting.

Choosing expert ant control solutions offers several benefits, including enhanced durability of property structures by preventing damage caused by persistent colonies. Additionally, effective treatment reduces the need for frequent maintenance and minimizes the risk of future invasions. This not only improves curb appeal by maintaining a clean, pest-free appearance but also supports overall safety and comfort for residents and visitors alike.

Get Ants Extermination Service Quotes

  • Ants Extermination - needed when ants invade kitchens, bathrooms, or other indoor spaces.
  • Ants Extermination - required for persistent ant colonies in residential or commercial properties.
  • Ants Extermination - necessary when ant trails are visible around the exterior of a home or building.
  • Ants Extermination - sought after when ants are found in gardens, yards, or outdoor living areas.
  • Ants Extermination - essential for preventing future ant infestations in areas prone to ant activity.

Get Ants Extermination Service Quotes

Ants Extermination Service
Ants Extermination Service
Ants Extermination Service

Ants extermination services involve professional methods to identify, eliminate, and prevent ant infestations within residential, commercial, or industrial properties. Service providers typically conduct thorough inspections to determine the extent of the ant problem and identify the species involved. Using targeted treatments such as baiting systems, insecticidal applications, or barrier methods, they aim to eradicate existing colonies and reduce the likelihood of future invasions. These services are designed to address the specific behaviors and nesting habits of various ant species, ensuring a comprehensive approach to pest control.

Ant infestations can cause numerous issues for property owners, including damage to structures, contamination of food supplies, and general nuisance. Ants often invade kitchens, pantries, and other areas where food is stored or prepared, leading to hygiene concerns. Additionally, certain ant species, like fire ants, can pose health risks through painful stings. Extermination services help mitigate these problems by removing the pests efficiently and implementing ongoing prevention strategies, such as sealing entry points and removing attractants, to maintain a pest-free environment.

The types of properties that commonly utilize ants extermination services include single-family homes, apartment complexes, restaurants, food processing facilities, and office buildings. Residential properties often seek assistance to eliminate ant colonies from yards, basements, or interior spaces. Commercial properties, especially those involved in food handling or storage, prioritize pest control to meet health and safety standards. In industrial settings, professional extermination helps prevent disruptions caused by ant activity, maintaining operational hygiene and compliance.

Partnering with local pest control providers ensures that property owners receive tailored solutions for their specific ant problems. These professionals utilize proven techniques to target the pests effectively and implement preventive measures suited to each property type. Whether dealing with a minor nuisance or a significant infestation, contacting local experts can help restore comfort and safety to residential and commercial spaces alike.

The overview below groups typical Ants Extermination Service projects into broad ranges so you can see how smaller, mid-sized, and larger jobs often compare in Dallas, TX.

In many markets, a large share of routine jobs stays in the lower and middle ranges, while only a smaller percentage of projects moves into the highest bands when the work is more complex or site conditions are harder than average.

Per-Visit Treatment - Ant extermination services typically range from $100 to $300 per visit, depending on the severity of the infestation and the size of the property. Some providers may charge around $150 for a standard residential treatment. Costs can vary based on the extent of the ant problem.

Initial Inspection and Estimate - Many service providers offer an inspection service that costs between $50 and $150, which may be credited toward treatment if booked. The price depends on the property size and complexity of the ant issue. This fee helps determine the scope of work needed.

Ongoing Pest Management Plans - Monthly or quarterly ant control plans generally range from $30 to $70 per visit, with annual contracts costing between $300 and $800. The price varies based on the frequency of treatments and the level of infestation control required.

Bulk or Whole-Property Treatments - Complete property treatments for ant infestations can cost between $200 and $600, depending on property size and infestation severity. Larger properties or multiple units may incur higher costs for comprehensive coverage. Pricing varies by service provider and property specifics.

Actual totals will depend on details like access to the work area, the scope of the project, and the materials selected, so use these as general starting points rather than exact figures.

Get an Ants Extermination Service Quote

Ants Extermination services connect homeowners with local pest control providers who specialize in eliminating ant infestations. These pros utilize targeted treatments to address both indoor and outdoor ant problems effectively.

Residential Ant Control involves professionals applying solutions tailored to homes in Dallas, TX, to prevent and remove ant colonies. Local service providers focus on safe and efficient methods for lasting results.

Commercial Ant Extermination services are available for businesses seeking to manage ant issues in retail, office, or industrial settings. Local experts implement strategies to minimize disruption and maintain a pest-free environment.

Eco-Friendly Ant Removal options are offered by providers who use environmentally conscious products and techniques. These services are suitable for clients prioritizing eco-sensitive pest control solutions.

Emergency Ant Infestation Services connect clients with providers capable of rapid response to severe ant outbreaks. Local pros are prepared to address urgent situations promptly and effectively.

Preventive Ant Control Programs involve ongoing services designed to reduce the likelihood of future ant problems. Local pest control specialists develop customized plans to protect properties over time.

Ants Extermination Service

When choosing a professional for ant extermination services, it is important to consider the experience of local contractors. Established providers often have a history of handling ant infestations effectively within the community, which can indicate familiarity with common local pests and conditions. Pros with extensive experience are also more likely to understand the nuances of different ant species and the most appropriate treatment methods, helping ensure the job is completed efficiently and thoroughly.

Clear communication and setting written expectations are key factors when working with a pest control provider. Reputable local service providers typically offer detailed explanations of their proposed treatments, what homeowners can expect during and after the service, and any necessary follow-up actions. Having these expectations documented in writing can help prevent misunderstandings and ensure that both parties are aligned on the scope and process of the extermination service.

Reputable references and reviews from other homeowners in the area can provide valuable insights into the reliability and quality of local pros. It is advisable to seek out providers with positive feedback and a history of satisfactory service. Additionally, good communication practices, such as prompt responses and willingness to answer questions, are indicators of a professional and customer-focused approach. Connecting with local pros through a neutral lead-generation platform can help homeowners find trusted providers suited to their ant extermination needs.

Get an Ants Extermination Service Quote

Property owners in Dallas, TX use Ants Extermination Service services for practical projects around their homes and businesses. The sections below highlight everyday jobs and straightforward project options.

Ants Extermination Service
Ants Extermination Service

Ants extermination services are often sought by property owners in Dallas, TX, facing common household challenges such as unexpected ant invasions or persistent colonies. These pests can appear suddenly, especially during warmer months, and may quickly become a nuisance in kitchens, pantries, or around the foundation. Property owners might look for professional assistance to effectively eliminate the ants and prevent future infestations, ensuring a safe and comfortable living or working environment.

In addition to sudden invasions, ongoing ant issues can arise from structural vulnerabilities or nearby landscaping that attracts these insects. Property owners may turn to local extermination experts to assess the situation, identify entry points, and implement targeted treatment plans. Engaging experienced service providers helps address these everyday problems efficiently, reducing the likelihood of recurring ant problems in homes and commercial properties across Dallas.

Get an Ants Extermination Service Quote

How do ant extermination services work? Ant extermination services typically involve inspecting the property to identify ant entry points and nests, then applying targeted treatments to eliminate colonies and prevent future infestations.

Are ant treatments safe for pets and children? Many ant extermination methods are designed to be safe for households with pets and children, but it is recommended to discuss safety concerns with the local service provider.

How long does an ant extermination treatment take? The duration of an ant extermination treatment varies depending on the severity of the infestation and the treatment method used, but most services aim to provide effective results in a single visit or a few follow-ups.

Will I need multiple treatments to control ants? Some ant infestations may require multiple treatments or ongoing monitoring to ensure complete eradication and to prevent future re-infestations.

How can I prevent ants from returning? Local pros often recommend sealing entry points, removing food and water sources, and implementing ongoing pest management strategies to help prevent ants from returning.

Ants Extermination Strategies - Local pest control providers can assess ant infestations and recommend effective treatment options tailored to specific environments.

DIY Prevention Tips - Professionals may share advice on sealing entry points and removing food sources to help prevent future ant problems.

Integrated Pest Management - Service providers often utilize integrated approaches to control ants while minimizing impact on the surrounding area.

Ongoing Monitoring Services - Regular inspections by local experts can help detect early signs of ant activity and maintain a pest-free property.

Ants Extermination Service

Considering Ants Extermination Service for a property in Dallas, TX? The sections above highlight common project types, practical options, and details that often shape the scope of work.

When you are ready, use the quote form to share a few details about your project. Local pros can review the basics and respond with options that match what you have in mind.

Get an Ants Extermination Service Quote

Ants Extermination Quotes

Our Trusted Partners
Cantu Pest Control
Orkin
Hawx Pest Control