Local Service Overview

Get Ants Extermination Service in Denton County, TX

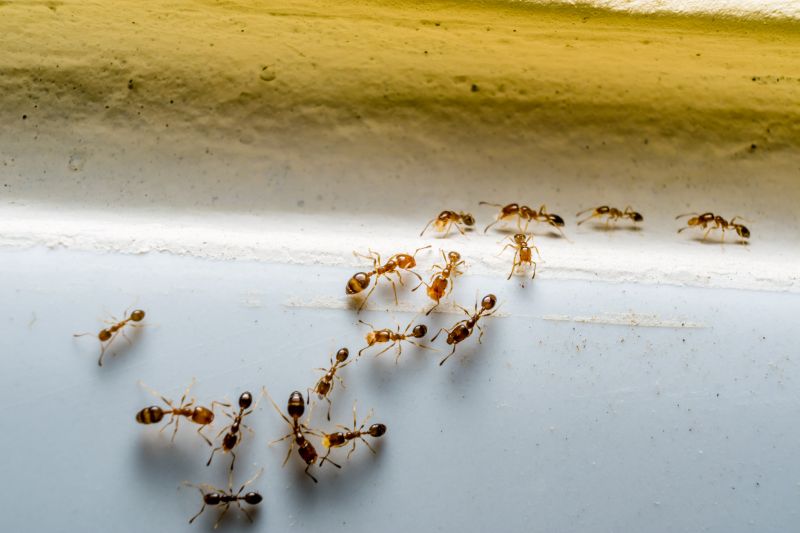
Ants extermination services for Denton County property owners address ant infestations, including residential and commercial ant control, eradication, and prevention projects.

Denton County, TX

Ants extermination services are essential for property owners in Denton County, TX who want to maintain a comfortable and safe living or working environment. These services help prevent ant infestations that can disrupt daily activities, damage structures, or contaminate food supplies. By addressing ant problems promptly, property owners can enjoy a more functional space with reduced maintenance needs, as ongoing ant activity can lead to persistent issues that require repeated interventions. Additionally, effective extermination contributes to improved curb appeal, ensuring properties look well-maintained and inviting.

Engaging professional ant extermination services offers benefits beyond immediate pest control. Proper treatment methods help enhance the durability of structures by preventing damage caused by ants and their colonies. This proactive approach also supports peace of mind, knowing that the property’s integrity and appearance are preserved. With the assistance of local experts, property owners can achieve long-lasting results that promote safety, comfort, and overall property value.

Get Ants Extermination Service Quotes

  • Ants Extermination - needed when ant colonies invade residential or commercial properties in nearby areas.
  • Ants Extermination - required to eliminate persistent ant problems in kitchens, pantries, or food storage areas.
  • Ants Extermination - essential when ants are found nesting outdoors and migrating indoors in local neighborhoods.
  • Ants Extermination - sought after when ant trails and mounds are visible around the property perimeter.
  • Ants Extermination - necessary for preventing future ant infestations in homes and businesses in nearby communities.

Get Ants Extermination Service Quotes

Ants Extermination Service
Ants Extermination Service
Ants Extermination Service

Ants extermination services involve the identification and elimination of ant infestations within residential, commercial, or industrial properties. Professionals typically conduct a thorough inspection to determine the extent of the ant problem and locate entry points, nests, and trails. Treatment methods may include the application of targeted insecticides, baiting systems, or other pest control solutions designed to eradicate ants and prevent future invasions. The goal is to create a pest-free environment by addressing both visible colonies and hidden nests that may be difficult to detect without expertise.

Ant problems can cause various issues for property owners. In addition to the nuisance of constant ant activity, some species can damage structures, contaminate food supplies, or trigger allergies and health concerns for inhabitants. Ant extermination services help resolve these problems by effectively removing colonies and reducing the likelihood of recurring infestations. Implementing professional pest control measures can also contribute to maintaining a clean and hygienic living or working space, especially in areas prone to ant activity such as kitchens, storage rooms, and outdoor patios.

Both residential and commercial properties frequently seek ant extermination services. Homes, especially those with accessible food sources or moisture issues, are common targets for ant control efforts. Apartment complexes, restaurants, grocery stores, and food processing facilities also require professional pest management to meet health and safety standards. Additionally, warehouses, office buildings, and retail spaces may utilize ant extermination services to protect inventory and maintain a pest-free environment, ensuring operations are not disrupted by ongoing pest issues.

Professional ant extermination services are tailored to the specific needs of each property type. Service providers assess the severity of the infestation and recommend appropriate treatment plans to suit the property's size, layout, and use. Regular inspections and preventative treatments may be advised to maintain long-term ant control, especially in areas with persistent ant activity. Contacting local pest control specialists can help property owners develop an effective strategy to manage and eliminate ant problems efficiently.

The overview below groups typical Ants Extermination Service projects into broad ranges so you can see how smaller, mid-sized, and larger jobs often compare in Denton County, TX.

In many markets, a large share of routine jobs stays in the lower and middle ranges, while only a smaller percentage of projects moves into the highest bands when the work is more complex or site conditions are harder than average.

Initial Treatment Cost - The cost for an initial ant extermination service typically ranges from $150 to $300, depending on the size of the property and infestation severity. For example, a small home may cost around $150, while larger properties could be closer to $300.

Per-Visit Fees - Many service providers charge between $100 and $200 per visit for ongoing ant control treatments. The exact price depends on the treatment method and property size, with larger homes generally costing more.

Treatment Package Prices - Comprehensive ant extermination packages often range from $250 to $500, covering multiple visits and treatments. These packages may include follow-up inspections and preventative measures.

Additional Service Costs - Extra services such as perimeter treatments or bait station installations can add $50 to $150 to the overall cost. These services are typically recommended for persistent ant problems or larger properties.

Actual totals will depend on details like access to the work area, the scope of the project, and the materials selected, so use these as general starting points rather than exact figures.

Get an Ants Extermination Service Quote

Ants Extermination - Local pest control providers offer specialized services to eliminate ant infestations in residential and commercial properties in Denton County, TX. They utilize targeted treatments to effectively address ant problems.

Ants Prevention - Service providers assist with preventative measures to reduce the likelihood of future ant invasions through inspection and exclusion techniques. They help identify and seal entry points around properties.

Ants Inspection - Professionals conduct thorough inspections to locate ant colonies and identify species, providing detailed assessments to inform effective treatment strategies. This helps in pinpointing problem areas.

Ants Baiting - Local pros implement baiting systems designed to attract and eliminate ant colonies at their source. They select appropriate bait types tailored to specific ant species.

Ants Removal - Experts perform targeted removal services to eradicate existing ant populations from indoor and outdoor spaces, ensuring the affected areas are thoroughly treated.

Ants Control Consultation - Pest control specialists offer consultations to advise on integrated ant management plans. They provide guidance on ongoing prevention and treatment options.

Ants Extermination Service

When selecting a professional for ant extermination services, experience is an important factor to consider. Many local contractors have years of hands-on work in managing ant infestations, which can contribute to more effective and efficient treatment. Homeowners are encouraged to inquire about the duration of a contractor’s service in the community and their familiarity with common local ant species. This background can help ensure that the selected provider understands the specific challenges posed by pests in Denton County and surrounding areas.

Clear communication and written expectations are essential when working with a pest control provider. Reputable local pros typically provide detailed information about their treatment methods, what homeowners can expect during and after service, and any necessary preparations or follow-up steps. Having these details in writing helps establish transparency and ensures that homeowners are well-informed about the scope of work and any potential considerations related to the extermination process.

References and reputation are valuable indicators of a contractor’s reliability. Homeowners are advised to seek out local pros with established reputations, which can often be verified through references or reviews from previous clients in the community. Reputable service providers often have a history of positive feedback and can demonstrate consistent professionalism. Effective communication throughout the process-whether through phone, email, or in-person interactions-also contributes to a smoother experience and helps ensure that expectations are aligned from the initial consultation through to completion.

Get an Ants Extermination Service Quote

Property owners in Denton County, TX use Ants Extermination Service services for practical projects around their homes and businesses. The sections below highlight everyday jobs and straightforward project options.

Ants Extermination Service
Ants Extermination Service

Ants extermination services are commonly sought after by property owners in Denton County, TX, when they notice persistent ant activity around their homes or businesses. Common situations include discovering trails of ants in kitchens, bathrooms, or other indoor spaces, which can indicate an infestation that needs prompt attention. Property owners may also seek professional help after attempting DIY methods that fail to eliminate the problem, or when they want to prevent future ant invasions that can disrupt daily routines and compromise hygiene.

In addition to indoor concerns, outdoor ant problems such as mounds or nests in yards and landscaping can prompt property owners to contact local service providers. These services are often requested to address issues caused by carpenter ants, fire ants, or other species that can damage structures or create nuisances. Regular inspections and targeted treatments are often recommended to maintain a pest-free environment and protect the property’s integrity.

Get an Ants Extermination Service Quote

How do ant extermination services work? Ant extermination services typically involve inspecting the property, identifying ant species and entry points, and applying targeted treatments to eliminate colonies and prevent future infestations.

Are ant extermination treatments safe for pets and children? Many extermination methods are designed to be safe for households, but it is recommended to discuss safety concerns with local service providers before treatment.

How long does an ant extermination treatment usually last? The duration of effectiveness varies depending on the treatment method and extent of the infestation; local pros can provide guidance based on specific situations.

Will I need multiple treatments to control an ant problem? Some ant infestations may require more than one treatment to fully eliminate the colony and prevent recurrence, as advised by local pest control providers.

How can I prevent future ant problems? Preventative measures include sealing entry points, maintaining cleanliness, and working with local extermination services to implement ongoing pest management strategies.

Ants Extermination Solutions - Local pest control providers offer targeted treatments to eliminate ant colonies and prevent future infestations.

Inspection and Identification - Pros can identify ant species and assess entry points to develop effective extermination strategies.

DIY Prevention Tips - Experts may provide advice on sealing cracks, removing food sources, and maintaining outdoor areas to deter ants.

Ongoing Monitoring Services - Some providers offer regular inspections to ensure ant problems do not recur after initial treatment.

Ants Extermination Service

Considering Ants Extermination Service for a property in Denton County, TX? The sections above highlight common project types, practical options, and details that often shape the scope of work.

When you are ready, use the quote form to share a few details about your project. Local pros can review the basics and respond with options that match what you have in mind.

Get an Ants Extermination Service Quote

Ants Extermination Quotes

Our Trusted Partners
Cantu Pest Control
Orkin
Hawx Pest Control