Local Service Overview

Get Ants Extermination Service in Grapevine, TX

Ants extermination services for property owners in Grapevine, TX, address ant infestations, prevent future invasions, and handle residential and commercial ant control projects.

Grapevine, TX

Ants extermination services are an essential consideration for property owners in Grapevine, TX seeking to maintain a comfortable and safe living environment. Effective pest control helps prevent the intrusion of ants that can compromise the functionality of a home or business, reducing the risk of damage to structures and stored items. By addressing ant problems promptly, property owners can enjoy a more secure space, free from the nuisance and potential health concerns associated with infestations.

In addition to safety, professional ant extermination can enhance curb appeal and reduce ongoing maintenance needs. A property free of ant activity looks more inviting and well-maintained, which can contribute to overall property value. Regular pest management also helps ensure the durability of building materials and prevents the need for extensive repairs, saving time and resources in the long run. Connecting with experienced service providers can support property owners in achieving these benefits efficiently.

Get Ants Extermination Service Quotes

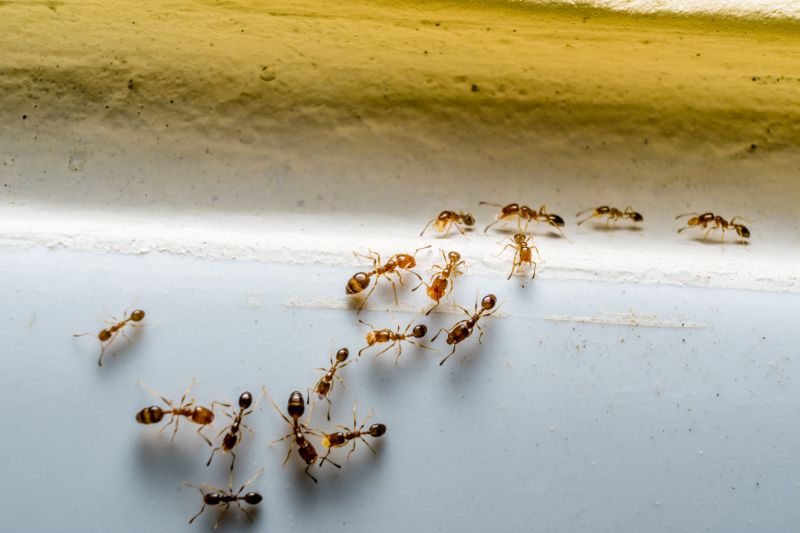
  • Ants Extermination - needed when ants invade kitchens, bathrooms, or other indoor spaces in residential or commercial properties.
  • Ants Extermination - suitable when outdoor ant colonies are present near gardens, lawns, or building foundations in areas like Grapevine, TX.
  • Ants Extermination - necessary if ants are forming large trails or nesting inside walls, ceilings, or other hard-to-reach spots.
  • Ants Extermination - recommended when ant activity is observed around food storage or waste areas in homes or businesses.
  • Ants Extermination - appropriate when persistent ant problems occur despite initial cleaning or minor treatments in nearby neighborhoods.

Get Ants Extermination Service Quotes

Ants Extermination Service
Ants Extermination Service
Ants Extermination Service

Ants extermination services involve identifying and eliminating ant infestations within residential, commercial, or industrial properties. Professionals typically conduct thorough inspections to determine the extent of the ant problem and locate entry points or nests. Treatment methods may include baiting, spraying, or dusting to eradicate the colony and prevent future invasions. The goal is to remove the ants efficiently while minimizing disruption to the property and its occupants.

Ant infestations can cause various issues, including property damage, contamination of food supplies, and general nuisance. Certain types of ants, such as carpenter ants, are known for damaging wood structures, which can compromise the integrity of buildings if left untreated. Additionally, ants can be persistent and difficult to control without professional intervention, especially when colonies are deeply established or hidden within walls, foundations, or other inaccessible areas.

Properties that commonly utilize ant extermination services include single-family homes, apartment complexes, restaurants, and retail stores. Homes with kitchens and food storage areas are particularly vulnerable due to the attractant of food crumbs and spills. Commercial properties, especially those involved in food service or retail, often require regular pest control to maintain hygiene standards and prevent infestations from impacting business operations. Office buildings and warehouses may also seek these services to protect inventory and maintain a pest-free environment.

Engaging with local pest control providers for ant extermination can help address existing infestations and implement preventative measures. These professionals use tailored strategies based on the specific property type and the severity of the ant problem. Regular inspections and targeted treatments can help keep properties free from ants, reducing the risk of property damage and maintaining a clean, pest-free environment. Contacting a local service provider can be an effective step toward managing ant issues efficiently.

The overview below groups typical Ants Extermination Service projects into broad ranges so you can see how smaller, mid-sized, and larger jobs often compare in Grapevine, TX.

In many markets, a large share of routine jobs stays in the lower and middle ranges, while only a smaller percentage of projects moves into the highest bands when the work is more complex or site conditions are harder than average.

Per-Visit Service - Ant extermination services typically range from $100 to $300 per visit, depending on the extent of the infestation and property size. For example, a small home in Grapevine might cost around $150 for a single treatment. Additional visits or ongoing treatments can increase the total cost.

Initial Treatment Cost - The first treatment for an ant problem usually costs between $150 and $400. Larger properties or severe infestations may require higher costs, with some estimates reaching up to $500. The price varies based on the complexity of the infestation.

Inspection Fees - Some service providers charge a separate inspection fee ranging from $50 to $150. This fee covers the assessment of the property to determine the extent of the ant infestation before treatment begins. Inspection costs may be waived if a full treatment is scheduled.

Ongoing Maintenance - Regular ant control maintenance plans can cost from $50 to $100 per month. These plans often include scheduled treatments and inspections to prevent future infestations. Costs vary based on property size and the frequency of service visits.

Actual totals will depend on details like access to the work area, the scope of the project, and the materials selected, so use these as general starting points rather than exact figures.

Get an Ants Extermination Service Quote

Ants Extermination services connect homeowners with local pest control professionals who specialize in identifying and eliminating ant infestations effectively.

Experts in ant extermination provide tailored treatment plans to address specific species and infestation levels within residential properties.

Local pros offer comprehensive ant control solutions, including baiting, spraying, and barrier treatments to prevent future invasions.

Ants Extermination services are suitable for both immediate removal needs and long-term prevention strategies for homes and businesses.

Professionals experienced in ant extermination utilize proven methods to reduce ant populations and minimize disruption to daily routines.

Contact with local ant control specialists ensures access to targeted treatments designed to suit the unique needs of properties in Grapevine, TX, and nearby areas.

Ants Extermination Service

When comparing ant extermination services in the Grapevine, TX area, it’s important to consider the experience of local service providers. Many established pros have years of background in pest control, which can contribute to a more effective and thorough approach to eliminating ant infestations. A contractor’s history of handling similar cases can provide insight into their familiarity with local ant species and common issues faced by homeowners in the region.

Clear and written expectations are essential when selecting a pest control provider. Reputable pros typically outline the scope of work, methods used, and any necessary follow-up treatments in their communications. This transparency helps homeowners understand what services will be performed and what results to anticipate, fostering a more informed decision-making process.

Reputation and communication are also key factors to consider. Pros with positive references from local homeowners often demonstrate reliability and quality service. Additionally, open and responsive communication from service providers can ensure that questions are addressed promptly and that homeowners feel comfortable throughout the process. It’s worth noting that the information below introduces local options and is not a contractor, emphasizing the importance of researching individual pros to find the right fit for specific pest control needs.

Get an Ants Extermination Service Quote

Property owners in Grapevine, TX use Ants Extermination Service services for practical projects around their homes and businesses. The sections below highlight everyday jobs and straightforward project options.

Ants Extermination Service
Ants Extermination Service

Ants extermination services are often sought by property owners in Grapevine, TX who notice ant activity around their homes or businesses. Common situations include discovering trails of ants in kitchens, bathrooms, or other indoor spaces, which can indicate a growing infestation. Property owners may also seek assistance after observing ant mounds or increased ant presence outdoors, especially during warmer months when ants are more active. Addressing these issues promptly helps prevent potential damage to structures and reduces the likelihood of ants spreading into living or working areas.

Many property owners turn to local ant extermination specialists to manage persistent or recurring ant problems. Reasons for seeking professional help include difficulty in controlling the infestation with over-the-counter products, the presence of large colonies, or concerns about the safety of DIY methods. Additionally, property owners might look for expert services to identify the specific ant species involved and ensure effective treatment tailored to the situation. Connecting with experienced local providers can help resolve ant issues efficiently and prevent future invasions.

Get an Ants Extermination Service Quote

How do ant extermination services work? Ant extermination services typically involve inspecting the affected area, identifying ant species and entry points, and applying targeted treatments to eliminate colonies and prevent future infestations.

Are ant extermination treatments safe for homes? Most treatments used by local pros are designed to be safe for homes when applied properly; it is recommended to follow any specific instructions provided by the service provider.

How long does an ant extermination treatment last? The duration of effectiveness varies depending on the treatment method and ant species, but many treatments provide lasting results when combined with proper pest management practices.

Can ant extermination services prevent future infestations? Yes, professional services often include recommendations and treatments that help reduce the likelihood of future ant problems in the area.

How can I prepare my home for ant extermination? Preparation may include cleaning the area, removing food sources, and clearing clutter to allow access for the pest control professionals performing the treatment.

Ants Extermination Solutions - Local pest control providers offer targeted treatments to eliminate ant colonies effectively.

Inspection and Identification - Professionals can assess property infested areas to determine ant species and identify entry points.

Preventive Measures - Service providers can advise on sealing cracks and removing attractants to reduce future ant activity.

Ongoing Monitoring - Regular inspections help maintain ant-free environments and address new infestations promptly.

Ants Extermination Service

Considering Ants Extermination Service for a property in Grapevine, TX? The sections above highlight common project types, practical options, and details that often shape the scope of work.

When you are ready, use the quote form to share a few details about your project. Local pros can review the basics and respond with options that match what you have in mind.

Get an Ants Extermination Service Quote

Ants Extermination Quotes

Our Trusted Partners
Cantu Pest Control
Orkin
Hawx Pest Control